185 किलोमीटर प्रति घंटे का तूफान- आपातकाल घोषित- 50000 परिवार..

मनीला। 185 किलोमीटर प्रति घंटे की रफ्तार से आए तूफान के हवा के झोंके 230 किलोमीटर प्रति घंटे की रफ्तार के साथ पहुंच जाने के बाद फिलिपींस में आपातकाल डिक्लेयर कर दिया गया है। 50000 से अधिक परिवार 1600 किलोमीटर तक पहले तूफान से बाहर निकाले गए हैं।
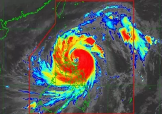
रविवार को फिलिपींस में आए सुपर टाइफून फंग वोंग ने चौतरफा जमकर तबाही मचाई है। तकरीबन 1600 किलोमीटर तक फैले इस तूफान की वजह से रेस्क्यू टीमों द्वारा 50000 से अधिक परिवारों को निकाला गया है, जबकि लाखों लोगों को सुरक्षित स्थानों पर चले जाने की वार्निंग जारी की गई है।
रविवार को देश के उत्तर पूर्वी तटों से टकराने वाले तूफान को इस साल का सबसे शक्तिशाली तूफान बताया जा रहा है। मौसम विभाग के अनुसार सुपर टाइफून फंग वोंग की रफ्तार 185 किलोमीटर प्रति घंटे तक पहुंच गई है, जबकि हवा के झोंके 230 किलोमीटर प्रति घंटे की रफ्तार से अपना कहर बरपा रहे हैं।
तूफान का प्रभाव 1600 किलोमीटर के दायरे में फैल सकता है, जिससे दक्षिण पूर्व एशिया का दो तिहाई हिस्सा बुरी तरह से प्रभावित हो सकता है।
तूफान से हो रही तबाही को देखते हुए सरकार की ओर से देश व्यापी आपात स्थिति का ऐलान कर दिया गया है। राष्ट्रपति ने लोगों से अपील करते हुए कहा है कि वह तुरंत सुरक्षित स्थानों पर चले जाएं।


